Voler à
L’Achs
Atouts HISPANO-SUIZA

Une disponibilité exceptionnelle :

  • Une flotte importante et homogène adaptée à l’instruction comme
    au voyage
  • Des horaires de fonctionnement étendus
  • Une équipe d’instructeurs nombreuse et qualifiée
  • Un terrain bien équipé pour toutes les situations
  • Un système de réservation à distance performant et pratique
  • Une équipe de maintenance dédiée et réactive

Une offre de services étendue au meilleur coût :

  • Un club house confortable et bien équipé (salles de cours, station
    météo, wifi)
  • Des cours théoriques collectifs ou individuels
  • La possibilité de se perfectionner tout au long de sa pratique du pilotage
  • Des outils de simulation modernes

Un esprit « club » :

  • L’organisation de voyages à plusieurs avions pour découvrir la
    France (et au-delà)
  • Des évènements festifs permettant aux pilotes de se rencontrer et d’échanger
Le Terrain
Vidéo réalisée à la demande d'Aéroports de Paris

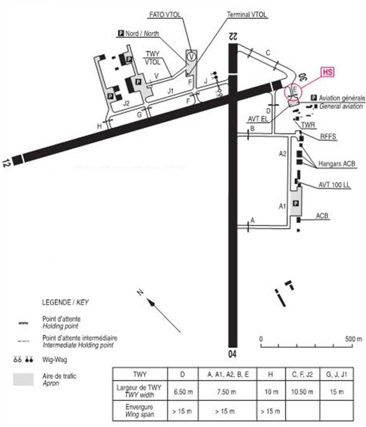
L’aérodrome de Pontoise Cormeilles en Vexin, dont l’indicatif est LFPT (Lima Fox-trot Papa Tango), dépend d’Aéroports de Paris qui en assure la gestion, la maintenance et la sécurité.

Ses
Atouts

La meilleure infrastructure pour l’aviation légère en Ile-de-France :

  • Deux longues pistes en croix (pour ne pas être gêné par le vent) et « en dur » (pour ne pas être gêné par les intempéries), dont une équipée d’un balisage de nuit télécommandé
  • Les moyens les plus modernes de radionavigation : une approche radar, un VOR, un Gonio, un ILS, deux PAPI, plusieurs approches aux instruments
  • Un service du contrôle aérien, un service de pompiers
  • Un service d’avitaillement en essence ouvert H 24
  • Un cadre agréable situé dans le parc naturel du Vexin
  • Une région propice au tourisme aérien, hors des limites pénalisantes de l’espace aérien parisien
  • Un accès facile – 45 minutes environ de la place de l’Étoile-Charles-de-Gaulle – par des voies rapides
  • Un environnement encore modérément urbanisé, ce qui n’empêche pas de veiller à la paix des riverains (voir ci-dessous)
Respect
des riverains

Les usagers de l’aviation légère de l’aérodrome de Pontoise Cormeilles, dont l’ACHS, sont signataires d’une charte de qualité visant à instaurer un code de bonnes relations et de respect mutuel avec les riverains. Une carte pédagogique détaillant les circuits de piste à respecter strictement (sauf instruction du contrôle ou motif de sécurité) est remise à chaque adhérent et affichée en permanence dans le club-house. Y figurent les zones dont le survol est à proscrire (sauf sécurité).

Télécharger la Charte de qualité

Télécharger la carte pédagogique

Notre atelier

L’aéro-club Hispano-Suiza entretient lui-même ses avions.

visuel-atelier

Le club dispose d’avions adaptés à tous les niveaux d’utilisation et de compétence des pilotes : depuis les Cessna 150 biplaces, utilisés pour l’école et les petits voyages, jusqu’aux Cessna 182T G1000 utilisables pour de longs déplacements ainsi que pour l’entraînement ou les vols IFR. Ces 33 appareils nécessitent d’être régulièrement contrôlés pour assurer la sécurité des utilisateurs, qu’il s’agisse de besoins d’ordre technique ou de répondre à des obligations réglementaires.

L’entretien et la mécanique de l’aéro-club Hispano-Suiza
L’aéro-club Hispano-Suiza assure intégralement l’entretien de sa flotte.
Régulièrement contrôlé par l’OSAC (Organisme Sécurité de l’Aviation Civile), notre atelier a été agréé le 15 février 2021 en qualité d’organisme chargé des tâches combinées de navigabilité, partie CAO de l’arrêté européen qui en fixe les obligations.

L’atelier, situé au sein même du club, permet aux pilotes de disposer d’avions entretenus  en permanence de manière optimale et en assure la plus grande disponibilité.

Pour remplir sa mission, l'atelier est équipé
d'un certain nombre de moyens qui sont, principalement :
Un atelier de
révision mécanique
Un atelier de maintenance
radio 1er échelon
Un service d'entretien et
de soutien logistique
Des moyens
informatiques
Notre
effectif

L’effectif global est de 5 personnes à plein temps (3 salariés et 2 bénévoles) et, en cas de besoin, l’unité peut faire appel à 2 mécaniciens supplétifs. L’atelier mécanique assure l’intégralité des opérations de maintenance (à titre préventif ou curatif) de la flotte dans tous les domaines : mécanique, hydraulique, tôlerie, instrumentation, peinture, etc.

Il effectue chaque année une moyenne de 10 grandes visites, 200 visites intermédiaires de 50 heures, 100 heures, 200 heures et 1 000 heures.

Le service
radio

C’est avant tout un service de piste qui assure la maintenance du matériel de radio et de navigation à bord en bon état de bon fonctionnement. Il est en liaison avec les ateliers de maintenance et de réparation agréés par le STNA (Service Technique de la Navigation Aérienne) pour les interventions nécessitant des bancs de contrôle. Il prend en charge l’entretien et la réparation des matériels connexes (câbles, antennes, connecteurs, racks, jacks, etc.) set des balises de détresse.

Le service
logistique

Il fournit à l’atelier mécanique les moyens de sa mission (appareils de levage, de remorquage, de pesage, de traction, etc.) ainsi que la fourniture des fluides, air comprimé, azote, électricité, groupes de démarrage …

Grâce à des moyens informatiques sophistiqués connectés au système de gestion informatique de l’aéro-club, les potentiels des avions et des moteurs sont tenus à jour en temps réel.